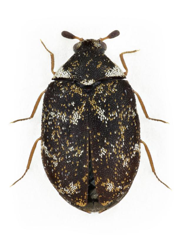
Museum beetle Anthrenus museorum
N.B. Image is copyright Stanislav Snall.
Not to be used without permission
Adult
Size: 2-3 mm
Shape: rounded
Colour: black with a scattering of gold and white scales which are triangular shaped under high power magnification
Antennae: small, tight club
Distinguishing features: Typical carpet beetle shape
Adults eat: Pollen and nectar
Larvae are pests of: Wool, fur, feathers, untanned skin and dead insects
Damage: Can be severe with holes, cast skins and frass
Often found on: This beetle is common in parts of Scandinavia and Europe, but rare in the UK. Although carpet beetles in collections are often referred to as "Museum beetles", they are usually found to be A verbasci or one of the other species.
Note: A museorum is very difficult to distinguish from the common dark carpet beetle Anthrenus fuscus without a high powered microscope.
Not to be used without permission
Adult
Size: 2-3 mm
Shape: rounded
Colour: black with a scattering of gold and white scales which are triangular shaped under high power magnification
Antennae: small, tight club
Distinguishing features: Typical carpet beetle shape
Adults eat: Pollen and nectar
Larvae are pests of: Wool, fur, feathers, untanned skin and dead insects
Damage: Can be severe with holes, cast skins and frass
Often found on: This beetle is common in parts of Scandinavia and Europe, but rare in the UK. Although carpet beetles in collections are often referred to as "Museum beetles", they are usually found to be A verbasci or one of the other species.
Note: A museorum is very difficult to distinguish from the common dark carpet beetle Anthrenus fuscus without a high powered microscope.
Museum beetle Anthrenus museorum
100%

